XDL
XDL(piXoneer Development Library)은 위성, 유/무인 항공기로부터 수집되는 영상/동영상 자료를 실시간으로 처리하고, 군용 지도(CADRG, CIB)와 함께 2/3차원으로 수집정보를 융합하여 도시할 수 있는 개발 도구입니다. XDL은 기존 (주)픽소니어의 영상처리 라이브러리인XDK(piXoneer Development Kit)와 구(Globe) 기반 3차원 지형정보 엔진인 EDK(Earth Development Kit)를 융합하여 새롭게 개발한 영상처리 및 2D/3D 도시용 라이브러리로서 다음과 같은 장점을 지닙니다.
- 테라바이트(Terabytes) 이상의 영상 및 지형데이터를 실시간/근실시간으로 처리하고, 2D/3D 광역 지형 구축, 사용자 데이터 중첩 도시(Overlay) 지원합니다.
- 다양한 상용 데이터뿐만 아니라 군용 래스터/벡터 데이터를 지원함으로써, 상용 및 군용 영상처리 시스템, 시뮬레이터 시스템, 지형정보 (Image Intelligence) 시스템 등을 손쉽게 개발할 수 있는 강력한 라이브러리군 제공합니다.
- MPEG-TS 등 동영상 재생·생성·전송, MISB ST 0601 표준을 준수하는 메타데이터 처리로 지도화면 중첩 및 센서 모델링을 제공합니다.
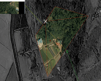
- XDL은 현재 다양한 무기체계에서 활용 중이며, 대표적으로 유/무인 항공기의 상황을 2D/3D로 가시화하고, 유/무인기로부터 촬영되는 EO/IR/SAR와 같은 프레임 영상(이미지)은 물론 EO/IR 동영상을 처리할 수 있는 지상 시스템 개발에 활용하고 있습니다.
- 기반으로 개발된 XDL ImageView V1.0은 GS인증 1등급을 획득하였습니다.
Supported Operating System
- Windows 10 64bit 이상
- Windows Server 2016이상
Supported Visual Studio
- Microsoft Visual Studio 2022 64bit이상
- .NET Framework 4.8이상
Hardware Requirements
- 1.6 GHz or faster processor
- 1GB of RAM(1.5GB if running on a virtual machine)
- More than 400MB memory for each XDL View (PlanetView 2D/3D, imageView, MilmapView, VideoView 등)
- 5.0GB of available hard disk space
- OpenGL3.0 or above(프레임버퍼 지원버전)
- 1GB of Graphic card memory
- NVIDIA graphics devices are highly recommended
- 1024x768 higher display resolution
Video Overlay
Video Overmap
Video frame 
Set Transparency Value
File Infoemation > Statistics View
File Information > Histogram View
View Stereo Image